رئيس الوزراء يصدر 4 قرارات جديدة اليوم

نشر عدد الجريدة الرسمية، الصادر صباح اليوم الخميس، 4 قرارات جديدة لرئيس الوزراء، الدكتور مصطفى مدبولي.
وجاءت القرارات كالتالي:
– قـرار رئيـس الوزراء رقـم 3484 لسنـة 2023، بشأن اعتبار مشروع نزع ملكية الطريق المؤدى إلى محطة معالجة الصرف الصحى بقرية بطورس، مركز أبو حمص، محافظة البحيرة، بطول ٥٠٠ متر وبعرض (6) أمتار، والمار به خطوط الطرد الداخلة إلى المحطة المذكورة، منفعة عامة.
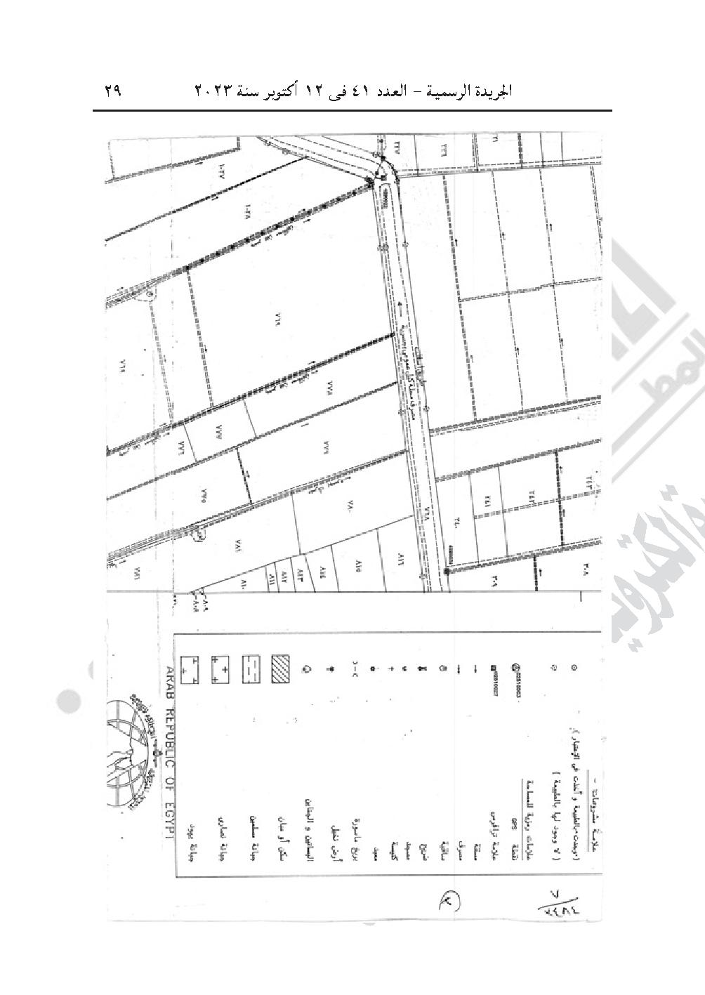
-قرار رئيس مجلس الوزراء رقم 3558 لسنة 2023، باعتبار مشروع خزان مياه الشرب العالى بناحية وردان، مركز منشأة القناطر، محافظة الجيزة، والواقع بحوض الساحل والجزيرة نمرة (19) جزاير فصل أول، بمسطح 9 قراريط و3 أسهم تقريبًا، من أعمال المنفعة العامة، وذلك لصالح الجهاز التنفيذى لمياه الشرب والصرف الصحى.
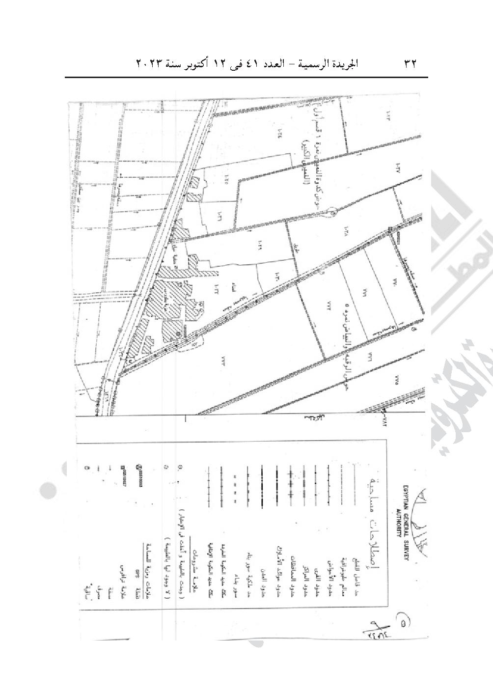
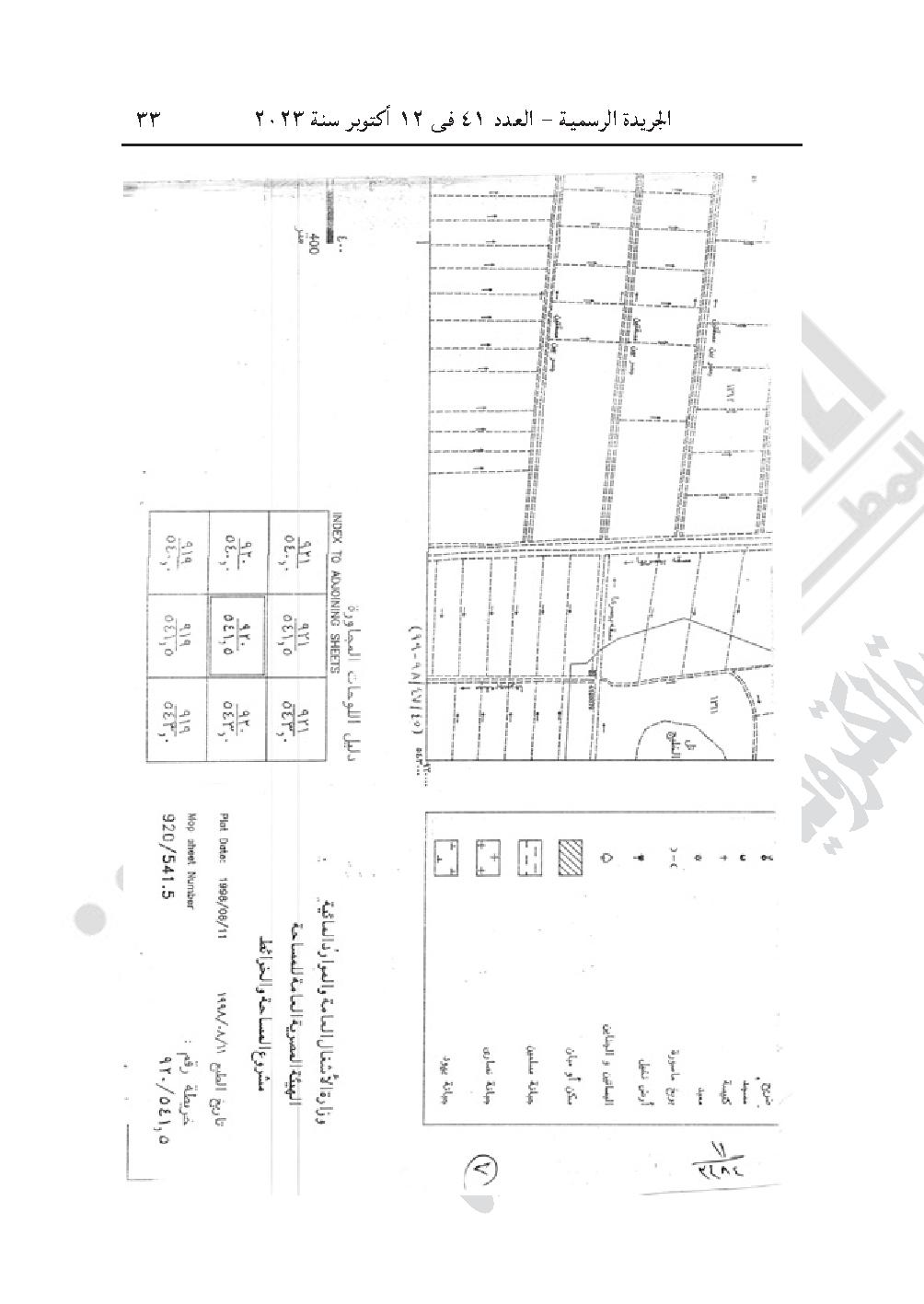
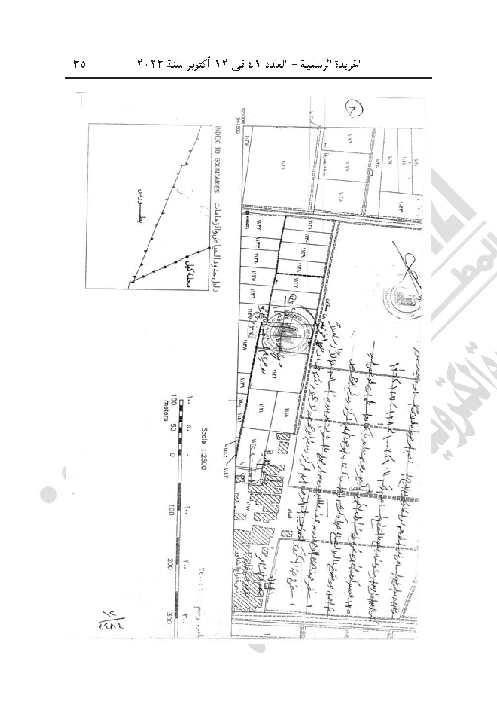
-قرار رئيس مجلس الوزراء رقـم 3560 لسنة 2023، باعتبار مشروع إنشاء الوصلة الحديدية لخدمة مدينة السادات، كفر داود- السادات، فى المسافة من كم 16٫300 إلى كم 19٫500، فى نطاق محافظة المنوفية، من أعمال المنفعة العامة.
ويستولى بطريق التنفيذ المباشر على الأراضى اللازمة لتنفيذ المشروعات المشار إليها فى المواد السابقة، والمبين موقعها ومساحتها وحدودها وأسماء مالكها الظاهرين بالمذكرات الإيضاحية والخريطة المساحية والكشوف.
-كما نشرت الجريدة الرسمية في عددها رقم 8 مكرر (ل)، الصادر في 28 سبتمبر 2023، قرار رئيس الوزراء باعتبار مشروع إقامة محطة رفع مياه الصرف الـصحى الفرعية لقرية سندنهور، مركز بلبيس محافظة الشرقية، والواقع بحوض القصالى نمرة (٤) ضمن القطعة (٩٩١) من (٩٠٦) من (٨٩٧) أصلية، بمسطح (٣ قـراريط و٤ أسهم) من أعمال المنفعة العامة، وذلك لصالح الهيئة القومية لمياه الشرب والصرف الصحى.







































